記事一覧
1 - 1件目まで(1件中)

- やっぱり群れは何度見ても大興奮っ!!
-
エリア:
- ミクロネシア>サイパン>サイパン
- テーマ:観光地 ビーチ・島 マリンスポーツ
- 投稿日:2013/04/12 16:53
今日は朝から絶好調っ!!
なんせ昨日は21時には寝ちゃってたもんねっ!!ww
目覚まし無しで朝の6時まで爆睡でやんしたっ♪♪ww
さぁーー今日もガンガン潜って行ってみよーー!!
今日も引き続きマンツーマンでのんびりファンダイビング!!
あぁーー
ボート出航前に写真撮るの忘れてもうたーー
1本目はオレアイにエントリー♪♪
今日は透明度が最高に良かったーー♪♪
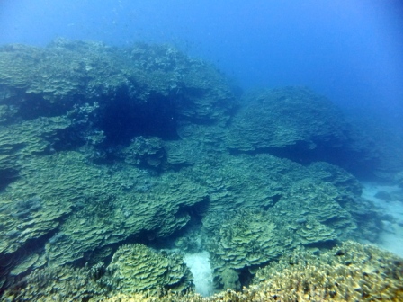
オレアイの見所と言えばサンゴの群生っ!!
こーーんなに沢山のサンゴが活き活きしてますYO!!
そんなサンゴの隙間でマダラエイがお休み中ZZzz
水底にはこんなどデカい大砲も落ちていたり。。
2本目はパイプにエントリー♪♪
もちろんパイプと言えばマダラトビエイ狙いっ!!
なんだか今日はイケる気がする・・・・ww
その予感は的中っ!!
おぉーー!!
いるいるーー!!
マダラトビエイ25枚オーバーの群れ群れーー!!
キタキターー!!
やっぱり群れは何度見ても興奮しますなww
午前のボートも終わり、ランチも食べ終えて、
早めの3本目はグロットにエントリー!!
早めにグロットに入って大正解っ!!
グロット貸し切りでダイビングを楽しんで頂きましたYO!!
しっかりマスクを押さえてジャイアントでジャボーーッン♪♪
外洋はじゃっかんうねり有りーの、
透明度は30メートルぐらいかな。。
ダイナミックな地形を存分に堪能♪♪
今日もブルーのシルエットは輝きまくり!!
さぁーー!!
ここからが真のグロットです!!
帰りはこの辛ーい辛ーい階段を登らないとね。。汗汗
おっーーっしゃ!!
今日は久しぶりにマッサージでも行ってくるかな♪♪
全身指圧120分コース、
はたして終わるまでちゃんと起きていられるか・・・・
みなさまも是非サイパンに遊びに来てくださいね!!
- タグ:
- サイパン ダイビング サイパン 体験ダイビング サイパン ダイビングライセンス サイパン グロットシュノーケル サイパン 島内観光
1 - 1件目まで(1件中)


