記事一覧
1 - 1件目まで(1件中)

- まさか水中にまで泥棒がいるなんて・・・・怒怒
-
エリア:
- ミクロネシア>サイパン>サイパン
- テーマ:観光地 ビーチ・島 マリンスポーツ
- 投稿日:2014/10/19 20:43
やっぱり忙しいのはいいですねー♪♪
朝からパワーにやる気が漲って来るぜっ!!
そんな今日のマリンクエストはーー
ファンダイビング6名様、星空ツアー14名様と、
ぶっちぎりのワッショイ大賑わいの大忙しっ!!
まずは午前のボートファンダイビングチームから行ってみよー♪♪
ボートは貸し切りだからのんびりで使い勝手も快適♪♪
だってせっかくサイパンに来て下さっているんですから、
ストレス無く思い切り楽しんで頂きたいですからねっ♪♪
水中は船首もはっきり見えるぐらい透明度もイイ感じ♪♪
沈船は色々な所から中に入れるので、
幾つものコース取りが出来ちゃいます♪♪
とりあえず穴が開いてたら潜るべしww
2本目はB29にエントリー!!
これは機銃の席、他にも大きなプロペラなど沈んでます。。
操縦席のハンドルやメーターもはっきり分かりますよ♪♪
そしてこのメーターは日本語で書いてある・・・・
って、あれれ???
むむむ???
ない!!
メーターの所がそのままないっ!!
これ絶対誰かくり抜いて盗んだんじゃん。。
なんてヒドイ奴なんだ・・・・
何となくどこの誰かが盗って行ったか想像つくけどね。。
とりあえず水中は遊ばなきゃっ♪♪
お客様に楽しかったって、
一言頂けるだけで私達は感無量っ!!
ジュンジュワーー♪♪てやつですww
ヤ○シタ様、ナ○ムラ様、セ○ダ様、 シ○ダ様、
お疲れ様でした〜♪♪
是非またサイパンに遊びに来て下さいねー!!
お次もファンダイビングチーム行ってみよー♪♪
午前中はラウラウビーチにエントリー!!
むぅーん。。
ちょっと天気が悪いなー
最近ラウラウはアジ玉率は100%で見れてます♪♪
ランチを食べて午後からはボートファンダイビングー!!
2本目はオレアイにエントリー!!
オレアイの見所と言えばこの活き活きとしたサンゴの群生っ!!
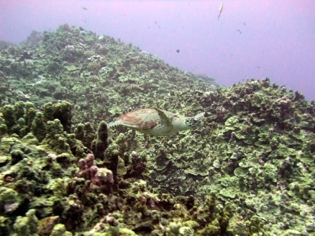
ラスト3本目はディンプルにエントリー!!
カスミチョウチョウウオの群れは相変わらずww
しっかりタイマイも 見る事が出来ましたYO!!
ミ○ノ様、ニ○ノ様、お疲れ様でした〜♪♪
是非またサイパンに遊びに来て下さいねー!!
かーらーのーー
夜からは社員旅行でお越しの14名様と星空ツアー!!
今日のマリンクエストは、
朝から夜までぶっちぎりで行かせて頂きます!!
みなさまも是非サイパンに遊びに来てくださいね!!
- タグ:
- サイパン ダイビング サイパン 体験ダイビング サイパン ダイビングライセンス サイパン グロットシュノーケル サイパン 島内観光
1 - 1件目まで(1件中)


