記事一覧
1 - 1件目まで(1件中)

- やっぱり有名人パワーはハンパじゃないぜっ!!
-
エリア:
- ミクロネシア>サイパン>サイパン
- テーマ:観光地 ビーチ・島 マリンスポーツ
- 投稿日:2014/09/03 22:38
いやぁー加護亜衣さんのお蔭で、
ブログのアクセス数がハンパじゃないww
昨日一昨日と、
いつもの倍以上のアクセス数がございました!!
さすが亜衣さんだわーー
亜衣さん!!
毎日遊びに来て下さい!!ww
そんな今日のマリンクエストはーー
ボートファンダイビングーー!!
そんな今日は禁断の島まで遠征しちゃいました♪♪
だってこの夏の時期しか行けないですからね!!
1本目は禁断の島の岬の方にエントリー♪♪
個人的にはこっちのコースの方が、
ダイナミックだから好きかなー♪♪
大きな岩の隙間を沢山潜り抜けて行きます♪♪
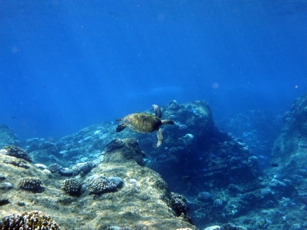
お客様のリクエストのカメはと言いますとーー
出るわ出るわのカメ三昧スシ三昧っ!!ww
全部で6匹ぐらいのアオウミガメが出て来てくれました♪♪
岩陰からは、
急に大きなホワイトチップシャークも飛び出て来て、
びっくりしたわー汗汗
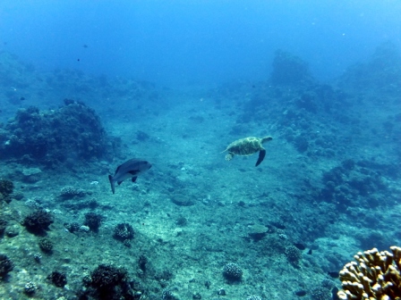
2本目は湾内にエントリー!!
ここはクレバスとハングになっている場所が多いので、
マクロ好きには良いかもね♪♪
でもご覧の通り地形もダイナミックダイクマでございます♪♪
水中では身内ネタのギャグをかまして皆で大笑いでした!!ww
バブルユウコさんが聞いたら怒るかなーーww
お客様は今日がラストだったので、
ログ付け&夕飯を食べにトニーローマに行って来ましたYO!!
もちろんアタスはスペアリブのフルサイズをオーダー!!
ウマすぎーー!!スペアリブ♪♪
シ○タ様、ミ○コシ様、お疲れ様でした〜♪♪
是非またサイパンに遊びに来てくださいねー!!
さぁーーて明日のマリンクエストはーー
体験ダイビング、クマノミシュノーケルの2ツアー!!
サイパンの海色にがっつり洗脳して参りますっ!!
みなさまも是非サイパンに遊びに来てくださいね!!
- タグ:
- サイパン ダイビング サイパン 体験ダイビング サイパン ダイビングライセンス サイパン グロットシュノーケル サイパン 島内観光
1 - 1件目まで(1件中)


